 Dinosauri,
il killer ha lasciato una traccia
E' rimasto in fondo all'Oceano
Pacifico per 65 milioni di anni. Ed è più piccolo di un chicco di riso. Ma è anche il
primo e unico frammento mai trovato dello spaventoso asteroide spaziale che cadde sulla
Terra provocando l'estinzione dei giganteschi rettili
E' grande come la testa di un fiammifero: due millimetri e mezzo, per essere
pignoli. Eppure quel micro-sassolino pescato in fondo all'Oceano Pacifico potrebbe essere
la soluzione del mistero dei dinosauri e della loro improvvisa scomparsa.
Piccolo si, quel
pezzettino di roccia. Ma mille volte più grande dei granelli di sabbia vecchi di 65
milioni di anni in cui era sommerso, granelli trasportati dal vento e che hanno formato il
sedimento suboceanico. Ma lui no: era troppo pesante. "Non c'è nessun modo che
spieghi come il vento abbia potuto spingere fin là qualcosa di così grosso - spiega il
geochimico Frank Kyte che lo ha trovato - Per finire in quello strato di sedimenti deve
per forza essere caduto dal cielo". E allora? Allora il sassolino fuori posto è
fuori posto anche come composizione, ricco com'è di iridio. Infatti è un meteorite. Per
Kyte, e non solo, probabilmente è "Il" meteorite. Cioè un frammento di quella
montagna spaziale precipitata sulla Terra appunto 65 milioni di anni fa. E che cancellò
in poco tempo l'intera stirpe dei dinosauri, fino a quel momento dominatori assoluti del
mondo animale.
Tutto per ora sembra confermarlo: il sassolino
è l'unico frammento esistente di quella meteora-proiettile larga almeno 10 chilometri che
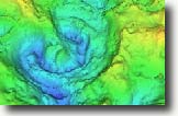
si schiantò giusto nella penisola messicana dello Yucatan. Molti geologi infatti
ritengono che quel gigantesco cratere largo oltre 100 chilometri fotografato dal satellite
sotto la foresta sia il punto d'impatto del meteorite che cambiò d'improvviso il clima
del pianeta. Anche perché si adatta benissimo alle ultime ricerche in materia. Fino a una
decina di anni fa infatti si riteneva che la meteora avesse colpito la superficie
terrestre perpendicolarmente: uno schianto ad altissima velocità pari all'esplosione di
decine di bombe atomiche che non lasciò alcun frammento più grande di qualche molecola.
Poi Peter Schultz, geologo della Brown University, ha rimesso tutto in discussione:
secondo i suoi studi il meteorite colpì lo Yucatan da sud-est e con un angolo di 30
gradi.
Risultato: l'enorme nuvola dei detriti e parte della roccia spaziale fu lanciata così
verso ovest per qualche migliaio di chilometri e cadde in mezzo al Pacifico, a quasi 9
mila chilometri di distanza. Giusto dove è stato trovato il sassolino killer.
Proprio in base a questa
teoria, Kyte scavò il fondo dell'Oceano, fra i sedimenti che si formarono 65 milioni di
anni fa, il periodo in cui i dinosauri e tre quarti delle altre specie animali sparirono
di colpo. Un sacco di coincidenze, insomma. Come la presenza proprio negli strati di
roccia corrispondenti a quel periodo, in molte parti del mondo, di grandi quantità di
iridio e di un quarzo particolare che si ottiene solo ad alte pressioni. In altre parole
residui di un meteorite e di un violento fenomeno naturale.
Certo l'aver pescato nel Pacifico quella capocchia di spillo vecchia di qualche era
geologica (e arrivata chissà da quale remota zona dell'universo) è stato un colpo di
fortuna. Di frammenti, di prove di quel disastro nonostante l'impatto
"inclinato" dell'asteoride, non ne devono comunque essere rimaste molte. Ma ora
forse ne abbiamo una in mano: una quasi insignificante scheggia del super-proiettile
spaziale che provocò l'estinzione di intere specie animali. In fondo tutti gli assassini,
anche i più abili, lasciano una traccia. |